ÜZÜMDE HASAT ZAMANI
Malatya'nın tescilli coğrafi işaretlerinden Arapgir köhnü üzümünde bu yıl 5 bin ton rekolte bekleniyor. Arapgir Belediye Başkanı Haluk Cömertoğlu: "Yıllık 13 bin tonluk üretimimizin 5 binini köhnü üzümü oluşturuyor. Üzümün kilogramı halde toptan 6 liraya alıcı buluyor"

Malatya'nın tescilli coğrafi işaretlerinden Arapgir köhnü üzümünde bu yıl 5 bin ton rekolte bek
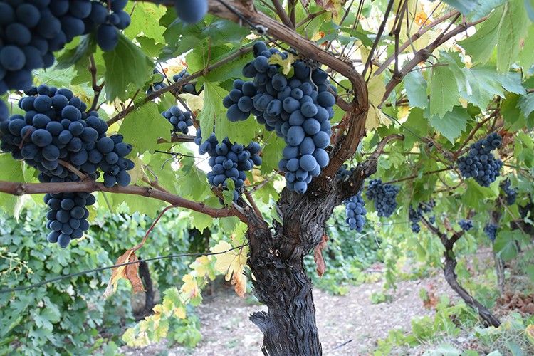
Malatya'nın kendine has tadı ve aromasıyla damaklarda farklı bir tat bırakan tescilli Arapgir köhnü üzümünde hasat bereketli başladı.
Ülkenin üzüm üretiminde önemli bölgelerden biri olan Arapgir ilçesinde bu sezon kış aylarında yeterli yağış alınması sayesinde köhnü üzümü veriminde artış bekleniyor.
El emeğiyle toplanan, halk arasında "Öküzgözü" olarak da bilinen köhnü üzümünde rekoltenin bu yıl 5 bin ton olarak gerçekleşeceği tahmin ediliyor.
Arapgir köhnü üzümünün kilogramı toptan 6 liradan alıcı buluyor.
Arapgir Belediye Başkanı Haluk Cömertoğlu, AA muhabirine yaptığı açıklamada, üzümün ilçenin önemli gelir kaynakları arasında yer aldığını söyledi.
İlçede farklı türlerde üzüm yetiştirildiğini belirten Cömertoğlu, bunlardan Arapgir köhnü üzümünün 2007'de coğrafi işaret olarak tescil edildiğini belirtti.
"Üzümün üzerinde canlı bakteri örtüsü var"
Cömertoğlu, köhnü üzümünün, iriliği, kendine has tadı ve aromasıyla damaklarda farklı bir tat bırakması dolayısıyla öne çıktığını dile getirerek şöyle devam etti:
"Üzümün üzerinde canlı bir bakteri örtüsü var. Dokunduğunuzda üzerindeki pus gider ve üzümün kendi rengi çıkar. Köhnü üzümü başka bölgelerde ekildiğinde üzerindeki pus özelliğini kaybediyor. Bu üzümü alanlar üzerindeki pusu toz zannedip yıkamasınlar. Üzümümüzün coğrafi işaret belgesinin yanı sıra organik ve helal ürün sertifikası da var. Yıllık 13 bin tonluk üretimimizin 5 binini köhnü üzümü oluşturuyor. Üzümün kilogramı halde toptan 6 liraya alıcı buluyor."
3 hafta sürecek hasadın hızla devam ettiğini belirten Cömertoğlu, bu üzümlerin sofralık olarak tüketildiğini ifade etti.
"Olgunlaştıkça şırası kırmızı oluyor"
Cömertoğlu, üzümün ilçe ekonomisine önemli katkı sağladığını vurgulayarak şunları kaydetti:
"Üzümlerimiz sofralık ve şıralık olarak il dışına satılıyor. İlçemizde üzüm üretimi ileri seviyede, modern yöntemlerle yapılıyor. Son 15 yıldır şarap fabrikaları ilçemizden üzüm alıyor. Bizim üzümün şırasını, mayalayıcı ve tatlandırıcı olarak kullanıyorlar. Üzüm olgunlaştıkça şırası kırmızı oluyor. Şırasının kırmızı olması ürünümüzü tercih edilir yapıyor."
"Dönümde 700 kilogram üzüm alıyoruz"
Üzüm üreticisi Mustafa Ulusoy da 20 dönümlük alanda üzüm yetiştirdiğini belirterek, rekoltenin iklim şartlarına göre değiştiğini söyledi.
Yetiştirdikleri üzümün şarap firmalarından rağbet gördüğünü dile getiren Ulusoy, "Dönümde ortalama 700 kilogram üzüm alıyoruz. 10 dönümde ortalama 7 ton üzüm topluyoruz. Geçen yıl birinci kalite üzümün kilogramını halde 4 liradan sattım, bu yıl ise 6 lira." diye konuştu.
Çiftçi Sabahattin Er, yaklaşık 8 yıldır ilçede üzüm üretimi yaptığını, ürünlerini Çanakkale'de bir fabrikaya sattığını ifade etti.
Tüccar Hüseyin Doğan Yılmaz da ilçeden yıllık ortalama 300 ton üzüm aldığını belirterek, "Geçen yıl ilçeye 800 bin lira para bıraktık. Biz üreticilerin daha fazla üretmesini istiyoruz. Fabrikalar da biz tüccarlar da her yıl alım fiyatını artırıyoruz." dedi.
